Вход Регистрация
*— обязательные для заполнения поля
Войти через социальные сети

Плодовый шмель Плодовый шмель
Вид включен в Приложение 2 к Красной книге РФ. Занесён в Красные книги Кировской области и Пермского края.
Пластинчатозубый шмель Пластинчатозубый шмель
Вид включен в Приложение 2 к Красной книге Российской Федерации. Занесён в Красные книги Республики Татарстан и Кировской области.
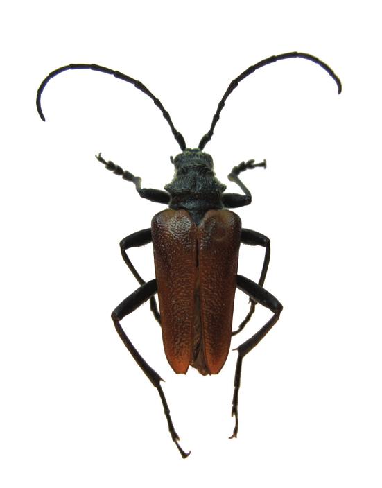
Пестрый дубовый усач Пестрый дубовый усач
В Удмуртии известен в южных районах: Алнашском, Киясовском, Сарапульском, Каракулинском, Вавожском и Воткинском.
Пахучий красотел Пахучий красотел
Занесен в Красные книги Российской Федерации, Республик Татарстан и Башкортостан.
Пахучий рагий Пахучий рагий
В республике известен только из Кизнерского района (с. Крымская Слудка).
Оленёк Оленёк
Занесен в Красную книгу Республики Татарстан.
Обыкновенный аполлон Обыкновенный аполлон
Занесён в Красную книгу Российской Федерации и Красные книги всех соседних республик и областей.
Мраморный хрущ Мраморный хрущ
Занесен в Красные книги Республик Татарстан и Башкортостан, Кировской области.
Моховой шмель Моховой шмель
Вид включен в Приложение 2 к Красной книге Российской Федерации. Занесён в Красные книги Республики Татарстан и Кировской области.
Малиновая орденская лента Малиновая орденская лента
В Удмуртии обнаружен на территории Воткинского, Сарапульского, Каракулинского, Киясовского, Камбарского и Кизнерского районов.
Лжерадужница Вейзе Лжерадужница Вейзе
В Удмуртии известна одна локальная популяция на севере Ярского района.
Лапландский плавунец Лапландский плавунец
В Удмуртии найден в Камбарском и Глазовском районах.
Краснокрылый усач-амаризиус Краснокрылый усач-амаризиус
На территории Европы известен только из Удмуртии (Завьяловский район, окрестности Аэропорта).
Красногрудая макролептура Красногрудая макролептура
Занесен в Красную книгу Кировской области.
Красноголовый лесной муравей Красноголовый лесной муравей
В Удмуртии вид обнаружен в пределах одного локалитета в Ярском районе.
Косматогрудый дровосек-дубильщик Косматогрудый дровосек-дубильщик
Занесен в Красную книгу Кировской области.
Зеленоватая перламутровка Зеленоватая перламутровка
Занесён в Красную книгу Кировской области.
Жужелица Хеннинга Жужелица Хеннинга
Занесен в Красные книги в Республике Татарстан и Кировской области.
Еловая пахита Еловая пахита
Занесен в Красную книгу Кировской области.
Двухцветный усач-рамнузиум Двухцветный усач-рамнузиум
В республике два жука собраны на сухобочине старого осокоря в пойме р. Вятки, один найден на опушке широколиственного леса в гнилом стволе вяза.
Голубянка Дафнис Голубянка Дафнис
Занесён в Красную книгу Республики Татарстан.
Голубянка арион Голубянка арион
В Удмуртии обнаружен в Глазовском, Сарапульском, Киясовском, Алнашском и Каракулинском районах.
Голубоватый червонец Голубоватый червонец
В Удмуртии обнаружен в Балезинском, Игринском и Кизнерском районах.
Восточный пилохвост Восточный пилохвост
Занесён в Красную книгу Кировской области и Республики Татарстан.
Восточная перламутровка Восточная перламутровка
В Удмуртии встречается в Завьяловском, Якшур-Бодьинском, Увинском, Сюмсинском и Красногорском районах.